
Photo: Andy Reago & Chrissy McClarren/Flickr
In any given landscape, insects abound and most of them are harmless – even beneficial – to us and to our landscapes. Without them, the ecosystem would lack balance. They keep things in check. We need the good bugs to help control the population of the bad bugs.
Other influences on the landscape can quickly tilt the advantage to the bad bugs, sending you looking for a way to put things back in balance. And if your clients’ trees are weakened by drought or disease, it’s an open invitation to one of the baddest bugs of them all: borers.
The inside scoop
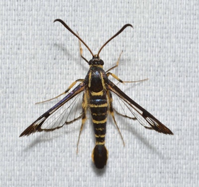
Boring insects, such as bark beetles, dogwood borers, bronze birch borers and weevils, to name a few (thousands of species exist, including the notorious Asian longhorned beetle), feed beneath the bark of trees, often tunneling deep into the wood. Because they inhabit the inner tree, you most likely won’t even know they are there until it begins to decline or show signs of external damage.
Adult borers lay their eggs on or under the bark, and when these hatch, it’s the grub-like larvae that tunnel their way to the interior. They continue to feed on the tree until they are adults, a period that can last for a few months or even a few years, depending on the species. The adults then chew their way back out of the tree, mate and begin the process all over again.
The damage is significant. Borers make their way through the inner bark layer (cambium) and into the sapwood (xylem). By compromising the xylem, borers in effect prohibit the tree from getting nutrients and moisture to its leaves by blocking the conducting tissues of the tree. The first part of the tree to be affected is the crown, marked by wilted leaves.
If you suspect borers, check trees for small (1/2 inch or less in diameter) round or oval holes. Often, you will also notice a sawdust-like frass in the holes and around the tree. Holes with sawdust in them indicate the larvae are still feeding inside the tree. But if the holes are sawdust-free, the adult borer has likely already emerged and is gone – for now.
Virtually all trees can succumb to borers, but birch, aspen, willow, cottonwood, juniper, pine and spruce trees are common targets.
Battling borers
The best defense against borers is to keep trees strong and healthy. Healthy trees will have good sap flow, which will help defend against borers. But if borers do invade the trees in your landscapes, there are also chemical options available – just be sure to use them in conjunction with a program to improve the tree’s overall health, because if you don’t, the weakened tree will continue to be appealing to borers.
Most chemicals labeled for use against borers are non-systemic, residual insecticides that are designed to be sprayed onto tree trunks and branches. They include bendiocarb, carbaryl, chlorpyrifos, endosulfan, fluvalinate, lindane, methoxychlor and sumithion, which are effective in killing adult borers and larvae that are still tunneling. These products will not, however, kill the larvae that have already made their way through the xylem, and they work best if used as a preventive treatment.
To optimize treatments, time them with the adult borer life cycle, aiming for when eggs are hatching. This, of course, depends on the species. Your best bet is to re-treat the tree when you’re unsure or if trees are especially susceptible to this insect pest.
Trunk injections are another chemical option. These treatments deliver insecticide into tree tissues, but research indicates that they are more effective against sap-feeders than against wood-boring larvae.
Battling Borers
USDA, partners declare victory over the Asian longhorned beetle
The U.S. Department of Agriculture, the Illinois Department of Agriculture and the City of Chicago eradicated of the Asian longhorned beetle (ALB) from Illinois in 2008. This makes Illinois the first state fighting active ALB infestations to declare victory over the invasive insect.
ALB was discovered in Illinois in the summer of 1998.
Between 1998 and 2006, about 1,771 host trees were removed to destroy the invasive insect. As many as 35 square miles were quarantined for the pest in and around Chicago, with 61 square miles considered infested and surveyed for signs of beetles. The last chemical treatments took place in the Oz Park area in 2006.
The ALB is about 1 1/2 inches long and shiny black with antenna up to twice the length of their bodies, banded in black and white. Host tree species that beetles favor include maple, birch, elm and poplar, among others.
Additional information about ALB can be found at www.aphis.usda.gov.