
Photo: Sarah/Flickr
Most people don’t have time to deal with fussy plants and not all of them are willing to pay for ongoing care by your crews. However, there are some who find joy and rejuvenation while working in the garden, and you can help them with some simple tips.
One of the main chores when it comes to gardening is deadheading – the act of removing dead flowers and developing seeds in order to encourage a longer blooming season – and it can be seen as either tedious or a labor of love.
If your client doesn’t want to spend hours among the plants, pinching off spent blooms, you can let them know ahead of time that nurseries have an answer for that. Plant breeders have developed numerous cultivars that do not require deadheading.
Proven Winners has a plethora of prolific bloomers that are able to “self-clean” in the sense that the flowers either blow away or slowly disappear so there is nothing to remove.

Photo: Jill Odom/Total Landscape Care
Some of their varieties, such as Supertunia Vista Fuchsia, Superbells Tropical Sunrise, and Superbells Hollywood Star, are all examples of continuous bloomers that don’t require deadheading to encourage more blooms.
Yet not all plants have this feature. For clients who have a garden full of annuals and perennials that can benefit from deadheading, the choice is up to them. Obviously, flowers do just fine in nature without deadheading, but be sure your customers know that ongoing maintenance by your company can make a big difference aesthetically.
Deadheading works by removing flowers before they start producing seeds (which is their botanical purpose). When you do this, you force it into further flower production. This can mean you'll get more blooms out of the plant.
Cosmos, phlox, salvia, Shasta daisy, lupine, marigold, and coreopsis are just a few examples of flowers that rebloom if deadheaded. Some plants benefit from deadheading by tidying up the general appearance of the landscaping. Scraggly, wilted remains can make a backyard look neglected, even if it isn’t.
Another reason to consider deadheading is to keep landscaping beds clear of rogue seedlings.
Methods are simple, vary by plant
If your client is wondering how to go about deadheading, there are several simple options. The one to use depends on what type of flower is involved.
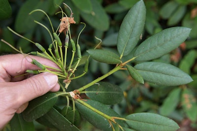
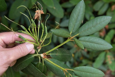
Pinching is a quick and tool-less choice that just requires pinching the stem that holds a withered flower on it between your thumb and forefinger. Be sure to break off the stem below the flower head and above a set of leaves.
For plants with longer stems, like salvia, snapping is easy enough. Break these off at the base with a swift movement. For those that tear or bend, use a pruner to get a clean cut.

Photo: Oregon State University/Flickr
If there are many plants in need of deadheading, snipping with a hand pruner can be faster, especially for tough or woody plants, such as roses. Snipping provides a precise cut and should be anywhere below the spent bloom.
Bushy plants like coreopsis or those covered with delicate blooms can be deadheaded with grass shears, saving hours of individually picking shriveled flowers. However, you shouldn’t wait for all the blooms to die; the plant will have become quite ragged in appearance by then. It’s better to lose some of the new blooms in order to keep the shrub looking fresh.
As for when to start deadheading, it is best to start around late spring and to check the garden often for the few flowering plants that have begun to fade. This keeps the task manageable rather than overwhelming come early fall.
For procrastinators, plants such as yarrow, sedum and asters can wait until next spring, as they provide seeds and berries for birds during the winter.